مدیرکل فرودگاههای هرمزگان گفت: نقص فنی هواپیمایی شرکت اطلس از فرودگاه مهرآباد، علت لغو این پرواز در بندرعباس بود.
برای پنجمین روز متوالی، کمبود نیروی انسانی در برجهای مراقبت پرواز در ایالات متحده منجر به تأخیر گسترده در سفرهای هوایی شد. بر اساس گزارش سازمان هوانوردی فدرال آمریکا (FAA)، تنها در روز جمعه بیش از ۶٬۴۰۰ پرواز با تأخیر مواجه شدند و ۴۷۰ پرواز نیز بهطور کامل لغو گردید.
فرودگاه اسلو نروژ، پس از دریافت گزارشی مبنی بر مشاهده پهپاد در نزدیکی فرودگاه، فرود هواپیماها را در اوایل روز دوشنبه موقتاً متوقف کرد.
رسانههای عبری و یمنی، از شلیک یک فروند موشک از خاک یمن به سمت اسرائیل و فعال شدن آژیرهای خطر در چند منطقه خبر دادند.
بزرگترین شرکت هواپیمایی اروپا یعنی رایان ایر اعلام کرد ممکن است به دلیل اعتصاب در بخش کنترل ترافیک هوایی فرانسه، روزانه تا 600 پرواز را لغو کند
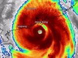
ابرطوفان Ragasa با وزش بادهایی تا سرعت ۲۲۰ کیلومتر بر ساعت، هنگکنگ را فلج کرد و موجب لغو کامل پروازها در فرودگاه بینالمللی این شهر به مدت ۳۶ ساعت شد.
شب گذشته پروازها در دو فرودگاه مهم اروپایی، کپنهاگ دانمارک و اسلو نروژ، به دلیل مشاهده چند پهپاد ناشناس برای چندین ساعت متوقف شد. در فرودگاه کپنهاگ، دو تا سه پهپاد بزرگ با چراغهای چشمکزن از چند جهت دیده شدند که باعث شد پروازها به مدت حدود چهار ساعت متوقف شود.
فرودگاه بینالمللی هنگکنگ (HKG) از سهشنبه شب تا صبح پنجشنبه با اختلالات گسترده پروازی مواجه خواهد شد؛ چرا که طوفان فوقالعاده قدرتمند «راگاسا» در مسیر خود به سمت هنگکنگ و شنژن، باعث لغو بیش از ۵۰۰ پرواز توسط شرکت هواپیمایی کاتای پسیفیک شده است.
مدیر روابط عمومی فرودگاه بینالمللی شهید دستغیب شیراز گفت: پرواز شماره ۱۵۹ شرکت هواپیمایی ساها، که قرار بود ساعت ۱۳:۳۰ به مقصد تهران انجام شود، به دلیل بروز نقص فنی لغو شده است.
منابع اسرائیلی گزارش دادند، جنگ اخیر با ایران زیانهای مالی گستردهای به صنعت هوانوردی اسرائیل وارد کرده است. بر اساس گزارش روزنامهی Times of Israel، شرکت هواپیمایی العال (El Al) به دلیل توقف و محدودیت پروازها متحمل خسارتی حدود ۵۰ میلیون دلار شده است. عمدهی این زیان به خاطر لغو پروازها، بازپرداخت بلیتها و کاهش شدید تقاضای سفر در هفتههای جنگ…