پروازهای شرکت هواپیمایی پگاسوس ترکیه که مدتی به دلیل شرایط عملیاتی متوقف شده بود، بار دیگر از فرودگاه بینالمللی شهید…
شب گذشته پروازها در دو فرودگاه مهم اروپایی، کپنهاگ دانمارک و اسلو نروژ، به دلیل مشاهده چند پهپاد ناشناس برای چندین…
گزارشها حاکی از وقوع یک حادثه جدی در فرودگاه نیس کوته دازور فرانسه در شب یکشنبه، ۲۱ سپتامبر ۲۰۲۵ است. در این حادثه،…
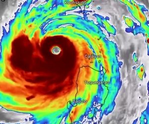
فرودگاه بینالمللی هنگکنگ (HKG) از سهشنبه شب تا صبح پنجشنبه با اختلالات گسترده پروازی مواجه خواهد شد؛ چرا که طوفان…
معاون استاندارد پرواز سازمان هواپیمایی کشوری، از تغییرات مهم در روند صدور مجوز تأسیس ایرلاینها خبر داد. بر اساس…
تارنمای رسانه آمریکایی ان پی آر (NPR) به نقل از مقامهای آلمانی و سوئدی خبر داد که جنگندههای این ۲ کشور یک فروند…
با امضای سند توسعه همکاریهای هوایی میان ایران و پاکستان، ظرفیت پروازهای مستقیم میان دو کشور به ۲۴ پرواز هفتگی افزایش…
۳۱ مارس ۱۹۷۰، یک پرواز داخلی بویینگ ۷۲۷ با ۱۳۸ سرنشین از توکیو به فوکوئوکا در میانه راه به دست ۹ عضو گروه چپ افراطی…
در هفتههای اخیر شاهد توسعه پرواز هواپیما بین جمهوری اسلامی ایران و جمهوری اسلامی پاکستان بودیم؛ امری که بیشک توسعه…
رسانههای انگلیسی گزارش دادند، جنگندههای نیروی هوایی این کشور اولین ماموریت گشتزنی خود بر فراز لهستان را در پاسخ به…